41

Wimpelplantsoen 431

Almere

€589.000 k.k.
  • SoortMaisonnette , Appartement
  • Kosteninfo €589.000 k.k.
  • Woonoppervlakte120 m2
  • Perceel0 m2
  • Inhoud480 m3
  • Kamers4
  • Slaapkamers3
  • EnergielabelA+++
Woningen met een energielabel A of beter

Omschrijving

In de Noorderplassen- West op schitterende locatie gelegen royaal vier kamer nieuwbouw ‘maisonnette-appartement’ met vloerverwarming, eigen parkeerplek, berging, ruim terras met openslaande deuren en energielabel A+++
Deze maisonnette bevindt zich op de tweede verdieping van het luxe en moderne appartementencomplex “PEAK Noorderplassen” met een vrij uitzicht zowel voor als achter. Aan de achterkant kijk je heerlijk weg over de Noorderplassen. Deze woning kan nog helemaal naar de hand van de koper worden gezet. Er is veel mogelijk! Een luxe woonkeuken of toch een mooie kantoorkamer, of allebei? Je kan het zelf bepalen. In principe hoef je alleen een keuken uit te zoeken en je kan zo intrekken. Je bent van harte welkom voor een bezichtiging!

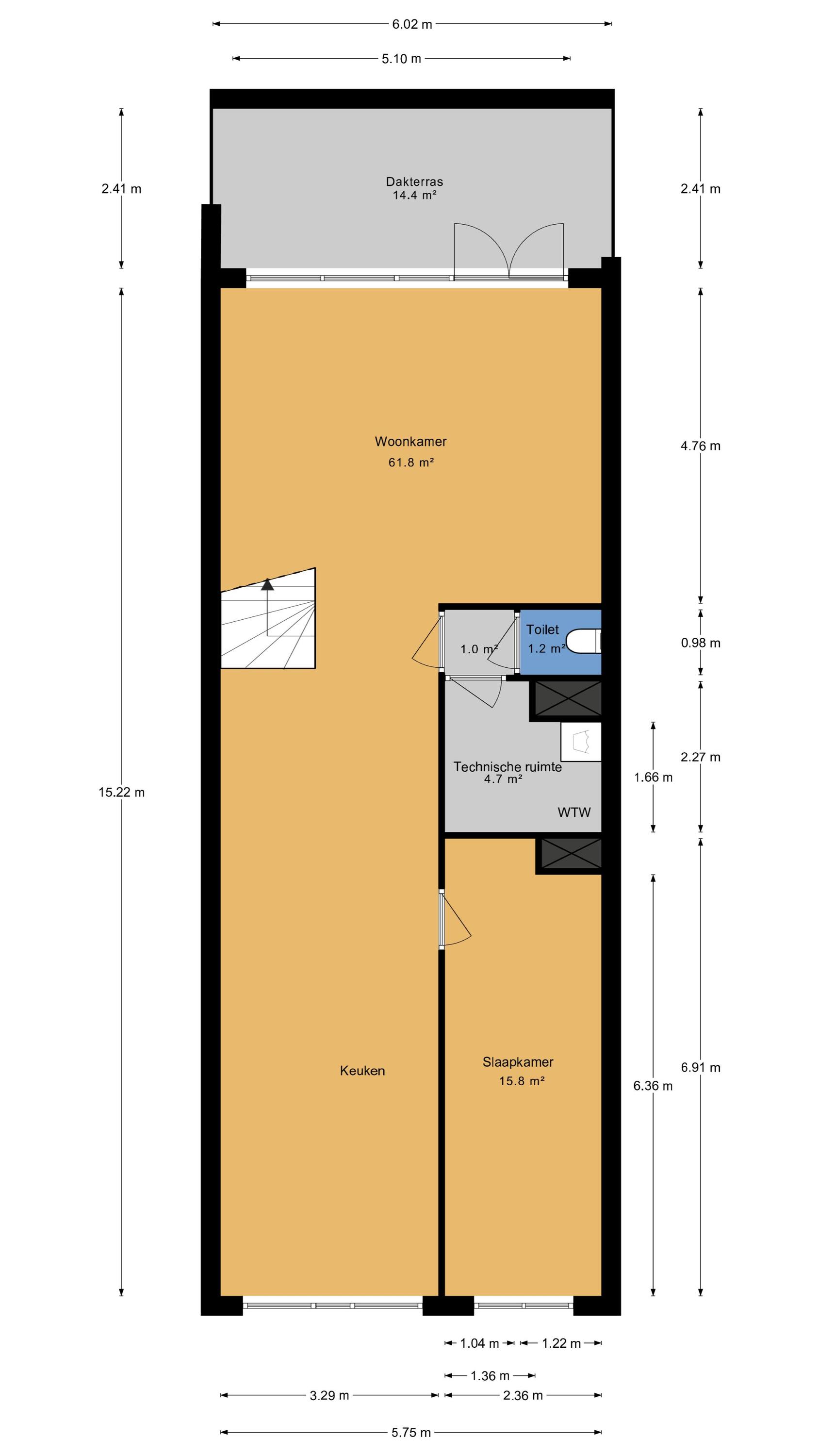
Indeling:
Centrale entree van het gebouw, gesloten entree met videofoon, lift, trappenhuis en bergingen.

Entree van het appartement op de tweede verdieping:
Meterkast op de algemene hal, entree, de hal geeft toegang tot 2 slaapkamers en de badkamer. De badkamer is voorzien van een inloopdouche, wastafel met meubel en toilet. Via de trap bereikt men de ondergelegen verdieping.

Op de ondergelegen verdieping bevindt zich het woongedeelte. Dit is een heerlijk lichte ruimte met aan de voorkant het zitgedeelte en aan de achterzijde het eetgedeelte met extra kamer. Deze kamer kan eventueel bij de keuken worden getrokken voor een extra grote woonkeuken. De charmante trap breekt de ruimte mooi. De woning heeft een mooie plafondhoogte en alle wanden en plafonds zijn netjes afgestuct. In het midden van deze verdieping bevindt zich nog een hal met toilet en technische ruimte met warmte-terugwin-unit (energiezuinige ventilatie), aansluiting wasmachine en droger en handige bergruimte voor bijvoorbeeld stofzuiger e.d. De zithoek/woonkamer is erg licht en knus dankzij de hoek, ideaal voor een luxe hoekbank. De raampartij is voorzien van elektrische screens. Via de openslaande deuren betreedt men het terras. Het terras heeft vrij uitzicht en is op het westen gesitueerd waardoor je heerlijk kunt genieten van de middagzon tot ondergaande zon. Het terras is voorzien van buitenverlichting, stroompunten en plantenbakken van Cortenstaal.

Deze woning ademt luxe dankzij de strakke zwarte kozijnen, grote raampartijen, visgraat vloer met vloerverwarming en rustgevend uitzicht aan beide kanten. En het mooie is, het kan nog helemaal naar de hand van de eerste bewoner worden gezet.

Op de begane grond van het complex is er nog een losse berging met stroom.

Noorderplassen is een waterrijke en groene woonwijk met een unieke en moderne uitstraling. De wijk biedt volop recreatiemogelijkheden met vaarwater, natuurgebieden en wandel- en fietspaden direct om de hoek. Veel woningen grenzen aan het water of liggen in een bosrijke omgeving. Dankzij de kleinschalige opzet en betrokken bewoners heerst er een rustige en gemoedelijke sfeer. Voorzieningen zoals scholen, winkels en een gezondheidscentrum bevinden zich op korte afstand. De wijk is goed bereikbaar met auto en fiets en ligt op circa 15 fiets-minuten afstand van het centrum van Almere. Noorderplassen is ideaal voor gezinnen, natuurliefhebbers en rustzoekers. Een plek waar buiten wonen vanzelfsprekend is.

Bijzonderheden:
• Royaal en heerlijk lichte maisonnette woning op prachtige locatie in de Noorderplassen.
• Schitterend uitzicht over de Noorderplassen
• Gebouw voorzien van liftinstallatie
• Volledig voorzien van vloerverwarming
• Energielabel A+++
• Eigen WTW
• Stadsverwarming
• 10 eigen zonnepanelen
• Gezonde en actieve Vereniging van Eigenaren
• Servicekosten: € 225,- per maand
• Bouwjaar 2024
• Woonoppervlakte: 120 m²
• Berging: 5,4 m²
• Eigen parkeerplek
• Inhoud: 480 m³
• Dakterras: 14,4 m²
• Ingemeten conform de branche brede meetinstructie (NEN 2580)

Oplevering: Kan snel
brochure

Waar staat dit huis?

Wimpelplantsoen 431, Almere

Woningvideo

Plattegronden

Afspraak maken

Laat uw gegevens achter en wij nemen zo spoedig mogelijk contact met u op.