36

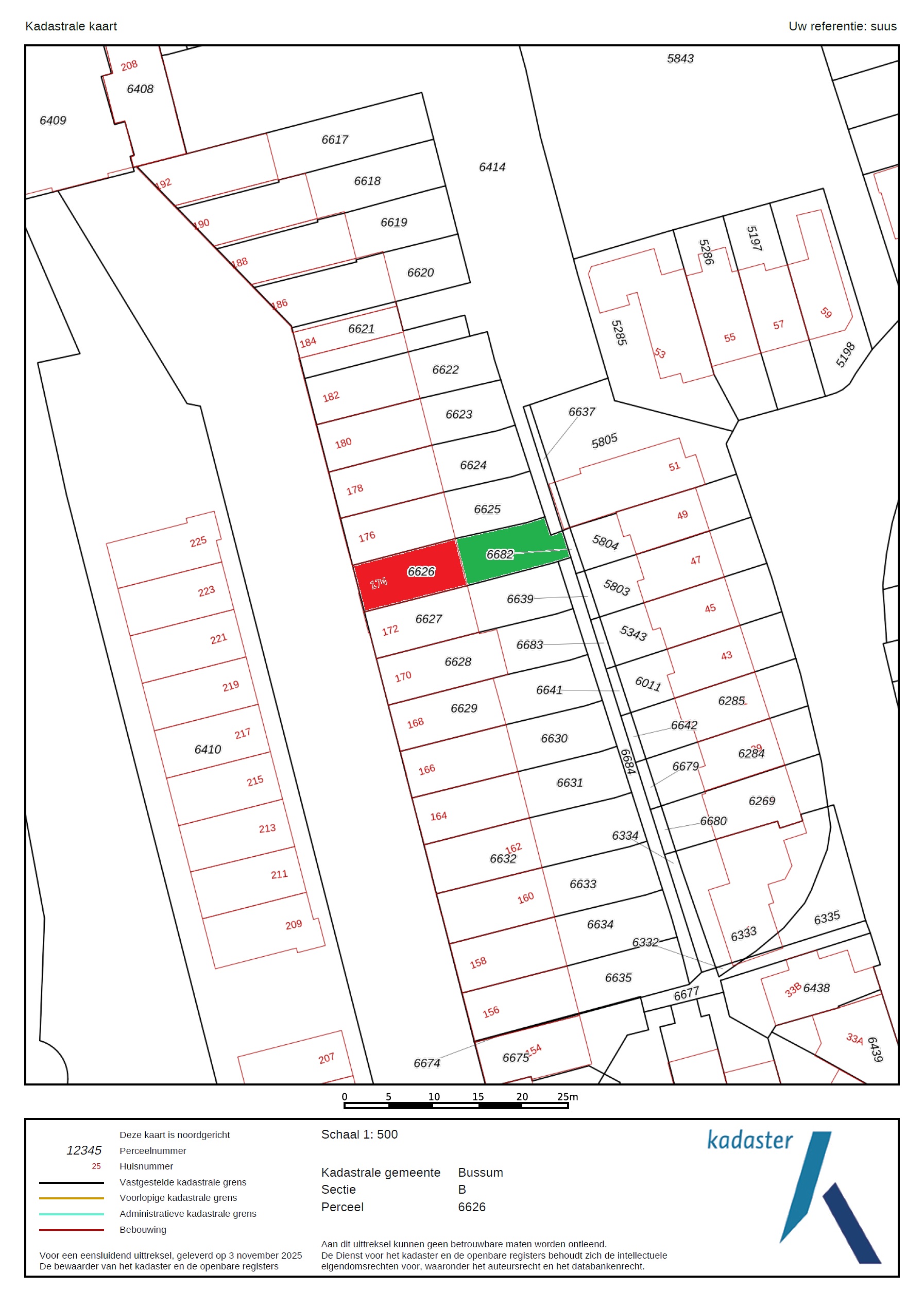
Landstraat 174

Bussum

€945.000 k.k.
  • SoortEengezinswoning , Woonhuis
  • Kosteninfo €945.000 k.k.
  • Woonoppervlakte163 m2
  • Perceel122 m2
  • Inhoud546 m3
  • Kamers6
  • Slaapkamers5
  • EnergielabelA

Alle huizen met de unieke ERA Garantie worden verkocht met 1 jaar garantie na de overdracht

Woningen met een energielabel A of beter

Omschrijving

Zeer royale in 2010 nieuwgebouwde comfortabele stadswoning, gelegen in het alom geprezen Landstraat Noord project met een zonnige achtertuin met schuur en achterom die direct toegang geeft tot een afgesloten parkeerterrein waar zich een privéparkeerplaats bevindt. Een ideaal huis voor diegene die hoge eisen stellen aan kwaliteit en wooncomfort en die willen wonen op een centrale locatie met alle voorzieningen binnen handbereik. Op loopafstand van NS station Naarden-Bussum, winkels, centrumvoorzieningen, horeca en uitstekende basisscholen en voortgezet onderwijs!

Indeling:

Begane grond:
Entree, hal, garderobe, meterkast, toilet met fontein. Royale living met open keuken aan de voorzijde en dubbele openslaande deuren aan de achterzijde. De begane grond is voorzien van een wit gelakte eiken delen vloer. De moderne en luxe keuken is een Bulthaup keuken die is voorzien van alle gemakken en van alle benodigde apparatuur zoals: een koel-vriescombinatie, kookplaat, afzuigkap, Combi-oven, combi-stoomoven, vaatwasser en een Quooker. Alle wanden en het plafond zijn glad gestuukt.

1e verdieping: Overloop, royale slaapkamer aan de voorzijde, Tweede zeer royale slaapkamer en een derde kleinere slaapkamer aan de achterzijde. Luxe badkamer voorzien van vloerverwarming, grote inloopdouche met regendouche, ligbad, dubbele wastafel en een apart toilet met fontein dat tevens is voorzien van vloerverwarming. Ook de 1e verdieping is voorzien van een wit gelakte eiken delen vloer.

2e verdieping: Via vaste trap bereikbare zeer royale zolderetage met overloop. De zolder heeft 2 ruime slaapkamers en een technische ruimte met de aansluitingen voor wasmachine, droger, c.v. ketel en mechanische ventilatie. In deze ruimte kan desgewenst nog een 2e badkamer worden aangebracht. De zolderverdieping heeft mooie hoge plafonds.

Tuin: De achtertuin is op het oosten gesitueerd en fungeert als een verlenging van de woonkamer en sluit hier met dubbel openslaande deuren mooi op aan. Er is een schuur die is voorzien van elektra en er is een achterom.

Parkeerplaats: direct grenzend aan de achterom is een afgesloten parkeerplaats waar een privé parkeerplek aanwezig is voor dit huis. Deze parkeerplaats is voorzien van elektronisch hek. Hier is een V.v.E. voor actief en de servicekosten hiervoor bedragen € 15,60 per maand.

ERA Garantie: Dit woonhuis wordt verkocht met ERA Garantie. De koper krijgt vanaf het moment van notarieel transport gedurende één jaar garantie op al het zichtbare leidingwerk, sanitaire voorzieningen, zichtbare elektriciteitsvoorzieningen en keuken-inbouwapparatuur van het woonhuis. ERA-garantie: meer zekerheid, een goed gevoel! Vraag naar de voorwaarden.

Bijzonderheden:
• Zeer royale stadswoning
• Keurig afgewerkt
• Uitstekende bouwkwaliteit en goed geïsoleerd.
• Privé parkeerplaats op afgesloten terrein
• Gehele woning voorzien van glad stucwerk en eiken delen vloeren die wit gelakt zijn
• Energielabel A
• Volledig voorzien van hardhouten draai-kiepramen en deuren met HR ++ glas
• Bouwjaar 2010
• Perceeloppervlakte 122 m²
• Inhoud 546 m³
• Woonoppervlakte 163 m²
• Schuur 6 m²
brochure

Waar staat dit huis?

Landstraat 174, Bussum

Woningvideo

Plattegronden

Afspraak maken

Laat uw gegevens achter en wij nemen zo spoedig mogelijk contact met u op.