37

Anna Meursstraat 18

Naarden

€545.000 k.k.
  • SoortEengezinswoning , Woonhuis
  • Kosteninfo €545.000 k.k.
  • Woonoppervlakte103 m2
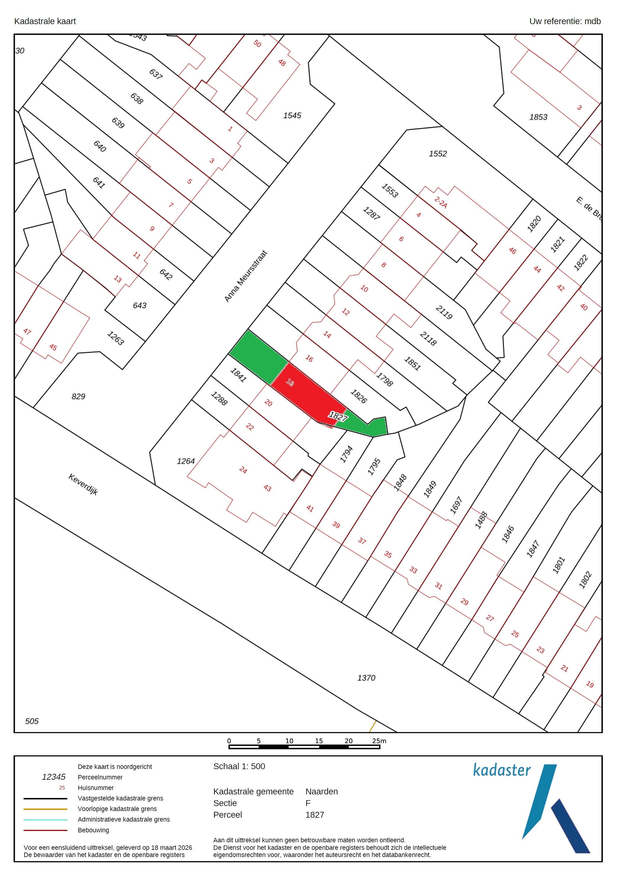
  • Perceel130 m2
  • Inhoud380 m3
  • Kamers5
  • Slaapkamers4
  • EnergielabelC

Alle huizen met de unieke ERA Garantie worden verkocht met 1 jaar garantie na de overdracht

Omschrijving

Authentieke jaren-’30 charme met alle moderne gemakken – instapklaar gezinshuis met 4 slaapkamers op een rustige, toplocatie in Naarden

Dit volledig gemoderniseerde en uitgebouwde jaren-’30 huis combineert het karakteristieke van toen met het comfort van nu. Een woning met authentieke details en sfeer, maar zonder zorgen over achterstallig onderhoud. Een zeer verrassend en fraai afgewerkt huis dat je echt met eigen ogen moet zien!

Begane grond:
Entrée/hal met meterkast en fraaie glas-in-looddeur naar de woonkamer. Prachtig eiken lamelparket in visgraatmotief door de gehele begane grond. De woonverdieping is slim opgesplitst in een sfeervol zitgedeelte en een riante woonkeuken. Tussen beide ruimtes ligt een handige trapkast en een ruim toilet.

De woonkeuken is spectaculair groot dankzij de uitbouw over de volle breedte van de achtergevel. Luxe en hoogwaardig uitgevoerd met luxe inbouwapparatuur, waaronder 2 vaatwassers, Quooker, Bora inductiekookplaat met geïntegreerde afzuiging, koel-vriescombinatie, combi-oven-magnetron en een mooi licht natuurstenen aanrechtblad.
Via een loopdeur én een brede schuifpui bereik je de achtertuin.

Eerste verdieping:
Overloop met een apart toilet. Dezelfde eiken visgraat lamelparketvloer ligt hier door de gehele verdieping. Drie slaapkamers: twee aan de achterzijde en één extra ruime kamer aan de voorzijde. Complete badkamer met inloopdouche, wastafelmeubel en vrijstaand bad.

Zolder:
Vaste trap naar de zolderverdieping: een multifunctionele ruimte, te gebruiken als werkkamer en/of vierde slaapkamer. Daarnaast de opstelling van de cv-ketel (Intergas HRE, 2022), wasmachine en droger. De grote, volledig geïsoleerde dakkapel zorgt voor veel licht en ruimte.

Tuin & buitenruimte:
Royale voortuin op het noordwesten – ideaal voor de middag- en avondzon. Achtertuin op het zuidoosten met heerlijke ochtend- en middagzon. Beide tuinen zijn onderhoudsvriendelijk aangelegd en voorzien van handige extra’s: vorstvrije buitenkranen voor- en achter, elektriciteit in de schuur en buitenverlichting. Achterom en ruime berging (5 m²) aanwezig.

Locatie & bereikbaarheid:
Rustige, kindvriendelijke straat in Tuindorp Keverdijk, op slechts 200 meter lopen van een gezellig winkelstraatje met supermarkt, bakker, drogist en meer dagelijkse voorzieningen. De historische Naarden-Vesting, natuur en scholen liggen op loop- of fietsafstand. NS-station Naarden-Bussum op 10 minuten fietsen, binnen 15 minuten met de auto in Amsterdam. Uitvalswegen en snelweg (A1) zijn zeer goed bereikbaar

Bijzonderheden
• Instapklaar en zeer goed onderhouden gezinshuis
• Authentieke jaren-’30 woning met karakteristieke details
• Volledig gemoderniseerd: keuken (2022), badkamer (2020), cv en elektra (2022), tuinen (2023)
• Buitenhoutwerk recent geschilderd (2024)
• Keurig afgestucte wanden door de gehele woning
• Goed geïsoleerd: vloer na-geïsoleerd en woning-scheidende wanden geïsoleerd middels voorzetwanden
• Energielabel C
• Bouwjaar 1932
• Perceeloppervlakte 130 m²
• Woonoppervlakte 103 m²
• Externe bergruimte 5 m²
• Inhoud 380 m³
• Ingemeten conform NEN 2580 / Branche Brede Meetinstructie
• Voldoende gratis parkeermogelijkheden in de straat

ERA GARANTIE: Dit woonhuis wordt verkocht met ERA Garantie. De koper krijgt vanaf het moment van notarieel transport gedurende één jaar garantie op al het zichtbare leidingwerk, sanitaire voorzieningen, zichtbare elektriciteitsvoorzieningen en keuken-inbouwapparatuur van het woonhuis. ERA-garantie: meer zekerheid, een goed gevoel! Vraag naar de voorwaarden. Er is een eigen bron aanwezig.
brochure

Waar staat dit huis?

Anna Meursstraat 18, Naarden

Woningvideo

Plattegronden

Afspraak maken

Laat uw gegevens achter en wij nemen zo spoedig mogelijk contact met u op.